Warum betreiben die Menschen aktiven Pflanzenschutz?

Ein Leser der Neuen Luzerner Zeitung bringt die paradoxe Situation, in der wir uns bezüglich Pflanzenschutzdiskussion befinden treffend auf den Punkt.

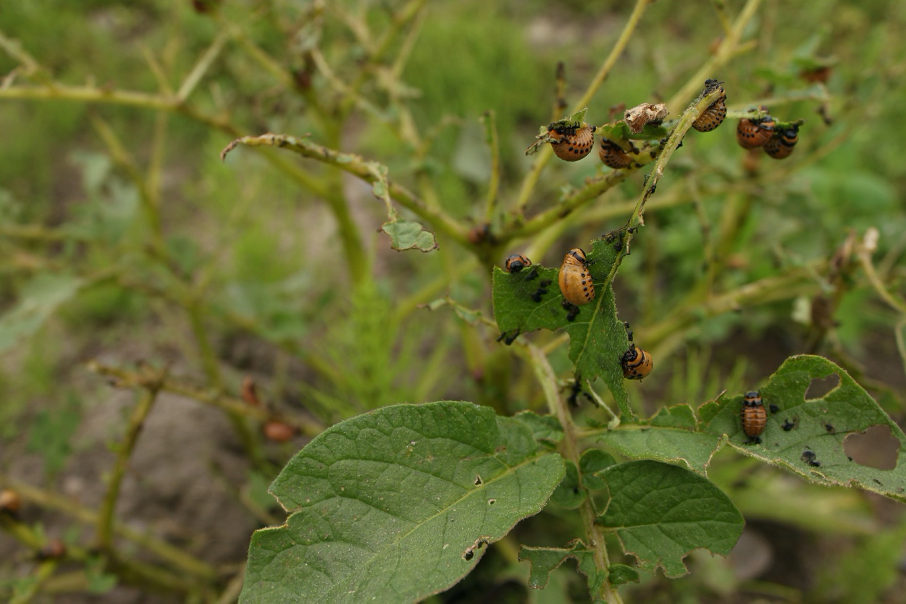
Einerseits diskutiert das Parlament über ein mögliches Verbot und Massnahmen zur Reduktion von Pestiziden. Andererseits verdeutlichen uns Bilder aus der Vergangenheit und der Gegenwart, wie wichtig Pflanzenschutzmittel für die Nahrungsmittelproduktion sind.

Neue Luzerner Zeitung

6. Juli 2020 (Printausgabe)

Der Kommentar eines Lesers der Neuen Luzerner Zeitung bezieht sich auf die Ausgabe vom 1. Juli. Sie enthielt auf einer Seite ein Bericht zur Parlamentsdebatte bezüglich der Anwendung von Pestiziden. Nur eine Konsumgesellschaft kann sich gemäss dem Leser den Luxus leisten, darüber zu debattieren, was sie nicht mehr haben möchte. Dabei geht schnell vergessen: Wir müssen genügend Nahrungsmittel produzieren. Und ohne Pestizide ist das sehr schwierig.

Auf einer anderen Seite derselben Zeitungsausgabe hat der Leser ein Bild aus der «Anbauschlacht» in der Stadt Luzern während des Zweiten Weltkriegs entdeckt. Auf dem Foto sind Männer mit Spritzen zu sehen, die Kartoffeln mit Pflanzenschutzmitteln behandeln. Um die Bevölkerung ernähren zu können, war dies schon damals eine lebensnotwendige Angelegenheit.

Das Fazit des Lesers: «Es wäre vielleicht sinnvoll, weniger um Pestizide zu streiten als vermehrt darüber nachzudenken, warum die Menschheit seit der Pfahlbauerzeit aktiven Pflanzenschutz gemacht hat.»

Machen Sie mit

Wenn Sie unsere Ziele unterstützen und sich mit uns für eine mo­derne, realistische Land­wirt­schaft einsetzen möchten, kontak­tieren Sie uns.
Kontakt.

Oder unterstützen Sie unsere Arbeit.
Mitmachen

Anlagen

Zu diesem Artikel gibt es keine Downloads.